Schließen
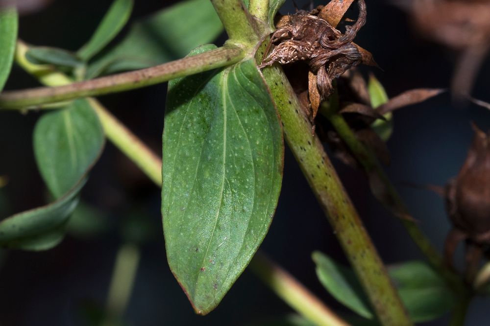
Hypericum perforatum L. subsp. perforatum

Hypericum perforatum L. subsp. perforatum

Echtes Johanniskraut

Zusammenfassung

Artbeschreibung (© Flora Helvetica 2018)

30-100 cm hoch. Stängel meist mehrere, reich verzweigt, mit 2 Längskanten. Blätter länglich-oval bis lineal, 1-2(-4) cm lang, ganzrandig, dicht und fein durchscheinend punktiert, Rand oft nach unten gebogen. Blüten gelb, in vielblütigen Rispen. Kelchblätter schmal-lanzettlich, 4-5 mm lang, fein zugespitzt, ganzrandig, schwarze Drüsen fehlend oder nur vereinzelt. Kronblätter 3-4mal so lang wie der Kelch, einseitig gezähnt.

Blütezeit (© Flora Helvetica 2018)

6-9

Standort und Verbreitung in der Schweiz (© Flora Helvetica 2018)

Trockenwiesen, Waldränder, Waldlichtungen / kollin-montan(-subalpin) / CH

Verbreitung global (© Flora Helvetica 2018)

Ursprünglich eurosibirisch

Ökologische Zeigerwerte (© Flora Helvetica 2018)

3w33-343.h.2n=32

Status

Status IUCN

 Nicht gefährdet (LC)

Verbreitungskarte (Atlas)

Letzte Datenaktualisierung:
Die Daten werden soweit möglich einmal pro Tag aktualisiert.

Einfach

Vor gewähltem Stichjahr
Ab dem Stichjahr
Vor und nach dem Stichjahr

Erweitert

Farbe der Symbole
Validierte Fundmeldungen
Noch nicht validierte Fundmeldungen
Meldungen aus dem Atlas Welten & Sutter (1982) und den Nachträgen (1984, 1994), seither nicht bestätigt
Form der Symbole
Vor gewähltem Stichjahr
Ab dem Stichjahr
Indigen (einheimisch)
Wiederangesiedelt
Eingeführt / verwildert / subspontan
Unsicher / Fraglich

Anzahl Fundmeldungen

Weniger als der gewählte Schwellenwert
Soviel oder mehr als der gewählte Schwellenwert
Form der Symbole
Talflächen Bergflächen
reichliches oder häufiges Vorkommen
spärliches oder seltenes Vorkommen
H Angaben aus Herbarien
L Angaben aus der Literatur
Farbe der Symbole
Meldungen aus dem Atlas Welten & Sutter (1982)
Vorkommen aus den Nachträgen 1984
Vorkommen aus den Nachträgen 1994

Verbreitung in der Schweiz (© Flora Helvetica 2018)

CH

Verbreitung global (© Flora Helvetica 2018)

Ursprünglich eurosibirisch

Ökologie

Lebensform

Mehrjähriger Hemikryptophyt

Lebensraum

Lebensraum © Delarze & al. 2015

fett
Dominante Art, welche das Aussehen des Lebensraumes mitprägt
Charakterart
Charakterart
Weniger strikt an den Lebensraum gebundene Art
Weniger strikt an den Lebensraum gebundene Art

Ökologische Zeigerwerte nach © Landolt & al. (2010)

Bodenfaktoren Klimafaktoren Salztoleranz
Feuchtezahl F 3w Lichtzahl L 3 Salzzeichen
Reaktionszahl R 3 Temperaturzahl T 4
Nährstoffzahl N 3 Kontinentalitätszahl K 3
Legende zu den Zeigerwerten

Feuchtezahl F

1
sehr trocken
1+
trocken
2
mässig trocken
2+
frisch
3
mässig feucht
3+
feucht
4
sehr feucht
4+
nass
5
überschwemmt, bzw. unter Wasser
f
im Bereich von fliessendem Bodenwasser
u
in der Regel im Wasser untergetaucht
v
mit untergetauchten und schwimmenden Organen
w
Feuchtigkeit mässig wechselnd (± 1-2 Stufen)
w+
Feuchtigkeit stark wechselnd (mehr als ± 2 Stufen)

Reaktionszahl R

1
stark sauer (pH 2.5-5.5)
2
sauer (pH 3.5-6.5)
3
schwach sauer bis neutral (pH 4.5-7.5)
4
neutral bis basisch (pH 5.5-8.5)
5
basisch (pH 6.5->8.5)

Nährstoffzahl N

1
sehr nährstoffarm
2
nährstoffarm
3
mässig nährstoffarm bis mässig nährstoffreich
4
nährstoffreich
5
sehr nährstoffreich bis überdüngt

Salztoleranz

1
salztolerant
3
salzabhängig

Lichtzahl L

1
sehr schattig
2
schattig
3
halbschattig
4
hell
5
sehr hell

Temperaturzahl T

1
alpin und nival (von der Baumgrenze bis zur Schneegrenze)
1+
unter-alpin, supra-subalpin und ober-subalpin (Arven-Lärchenwälder)
2
subalpin (Fichtenwälder ohne Buchen bis zur Obergrenze der Fichte)
2+
unter-subalpin und ober-montan
3
montan (Wälder mit Buche, Weisstanne, in den Zentralalpen mit Waldföhre)
3+
unter-montan und ober-kollin
4
kollin (Laubmischwälder mit Eichen)
4+
warm-kollin
5
sehr warm-kollin (nur an wärmsten Stellen, Hauptverbreitung in Südeuropa)

Kontinentalitätszahl K

1
ozeanisch (sehr hohe Luftfeuchtigkeit, sehr geringe Temperaturschwankungen, milde Winter)
2
subozeanisch (hohe Luftfeuchtigkeit, geringe Temperaturschwankungen, eher milde Winter)
3
subozeanisch bis subkontinental (mittlere Luftfeuchtigkeit, mässige Temperaturschwankungen und mässig tiefe Wintertemperaturen)
4
subkontinental (niedrige relative Luftfeuchtigkeit, grosse Temperaturschwankungen, eher kalte Winter)
5
kontinental (sehr niedrige Luftfeuchtigkeit, sehr grosse Temperaturschwankungen, kalte Winter)

Nomenklatur

Gültiger Name (Checklist 2017)

Hypericum perforatum L. subsp. perforatum

Volksname

Deutscher Name:
Echtes Johanniskraut, Tüpfel-Johanniskraut
Nom français:
Millepertuis perforé, Herbe de la Saint-Jean
Nome italiano:
Erba di San Giovanni comune

Übereinstimmung mit anderen Referenzwerken

Beziehung Name eingeben Referenzwerke Nr.
=Hypericum perforatum L. subsp. perforatumChecklist 2017211100
=Hypericum perforatum subsp. perforatum L.Flora alpina 200442.1.17.1
=Hypericum perforatum L. s.str.Flora Helvetica 2001497
=Hypericum perforatum L. s.str.Flora Helvetica 2012705
=Hypericum perforatum L. subsp. perforatumFlora Helvetica 2018705
=Hypericum perforatum L. s.str.Index synonymique 1996211100
=Hypericum perforatum L. s.str.Landolt 19772023
=Hypericum perforatum L. s.str.Landolt 19911650
=Hypericum perforatum L. s.str.SISF/ISFS 2211100
=Hypericum perforatum L. s.str.Welten & Sutter 19821039
=
Taxon stimmt mit akzeptiertem Taxon überein (Checklist 2017)
<
Taxon ist im akzeptierten Taxon (Checklist 2017) enthalten
>
Taxon enthält (neben anderen) auch das akzeptierte Taxon (Checklist 2017)

Kommentare aus der Checklist 2017

Wegfall des Ausdrucks s.str.: Alle «im engeren Sinn» (sensu stricto, s.str.) gefassten Arten werden neu in Unterarten mit gleichlautendem Unterart-Epithet gefasst (autonyme Unterart).

Checklist

Status

Indigenat

Indigen

Liste der gefährdeten Pflanzen IUCN (© Walter & Gillett 1997):   Nein

Status Rote Liste national

Status IUCN: Nicht gefährdet

Nicht gefährdet

Zusätzliche Informationen

Kriterien IUCN:

Status Rote Liste regional 2019

Biogeografische Regionen Status IUCN Kriterien IUCN
Jura (JU) LC
Mittelland (MP) LC
Alpennordflanke (NA) LC
Alpensüdflanke (SA) LC
Östliche Zentralalpen (EA) LC
Westliche Zentralalpen (WA) LC
Legende
EX
weltweit ausgestorben (Extinct)
RE
regional beziehungsweise in der Schweiz ausgestorben (Regionally Extinct)
CR(PE)
verschollen, vermutlich in der Schweiz ausgestorben (Critically Endangered, Probably Extinct)
CR
vom Aussterben bedroht (Critically Endangered)
EN
stark gefährdet (Endangered)
VU
verletzlich (Vulnerable)
NT
potenziell gefährdet (Near Threatened)
LC
nicht gefährdet (Least Concern)
DD
ungenügende Datengrundlage (Data Deficient)
NE
nicht beurteilt (Not Evaluated)
NA
nicht anwendbar (Not Applicable)

Status nationale Priorität/Verantwortung

Keine nationale Priorität oder internationale Verantwortung

Schutzstatus

Kein internationaler, nationaler oder kantonaler Schutz

Disclaimer
InfoFlora übernimmt die Angaben über geschützte Arten mit grösstmöglicher Sorgfalt aus den jeweiligen kantonalen Gesetzestexten. Vielfach konnten aber die in Gesetzestexten aufgeführten Pflanzennamen nicht ohne taxonomische oder nomenklatorische Interpretation übernommen werden. Die genaue Bedeutung der Kategorien „vollständig geschützt“ und „teilweise geschützt“ ist je nach Kanton unterschiedlich.

InfoFlora kann die Korrektheit und Vollständigkeit der Angaben zum Schutzstatus nicht garantieren. Im Zweifelsfall verweisen wir auf die Gesetzestexte in den jeweiligen Kantonen.

Status in sektoriellen Umweltpolitiken

Umweltziele Landwirtschaft: L - Leitart weitere Informationen

Crop Wild Relatives

Vorrangige Crop Wild Relative-Art