Chiudere

Salix appendiculata Vill.

Salice stipolato

Specie
ISFS: 363100
Checklist: 1040590

Riassunto

Descrizione della specie (© Flora Helvetica 2018)

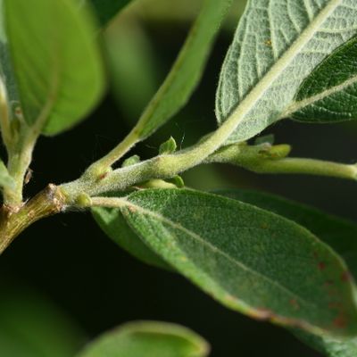
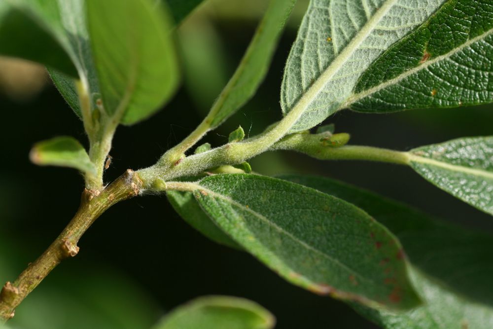
Haut. jusqu'à 6 m. Feuilles un peu fermes, oblongues-lancéolées à obovales, longues de 5-15 cm, 2,5-3,5 fois plus longues que larges, glabrescentes et vert foncé dessus, face inf. glaucescente, +/- rude (tomenteuse à l'état jeune et sur les nervures), nervures saillantes ; bord faiblement denté. Stipules grandes, diamètre 0,5-2 cm. Fleurs apparaissant en même temps que les feuilles ou un peu plus tôt. Capsules longues de 10 mm, pubescentes, pédicellées, souvent recourbées.

Periodo di fioritura (© Flora Helvetica 2018)

4-7

Ambiente e distribuzione svizzera (© Flora Helvetica 2018)

Forêts buissonneuses, pentes rocailleuses, pentes nord / (coll.-)mont.-subalp. / CH

Distribuzione globale (© Flora Helvetica 2018)

Eur. centr.

Valori ecologici (© Flora Helvetica 2018)

3+w+33-32+3.n-p.2n=38

Status

Categoria IUCN

 Non minacciato (LC)

Carta di distribuzione (Atlas)

Ultimo aggiornamento:
I dati vengono aggiornati una volta al giorno, nei limiti del possibile.

Semplice

Prima dell'anno limite
Dall'anno limite
Prima e dopo l'anno limite

Avanzata

Colore dei simboli
Osservazione convalidata
Osservazione in fase di convalida
Occorrenza proveniente dall'Atlante Welten & Sutter (1982) e rispettivi supplementi (1984, 1994) senza osservazione nella banca dati Info Flora
Simboli
Prima dell'anno limite
Dall'anno limite
Indigeno
Reintrodotto
Introdotto / naturalizzato / subspontanea / scappata
Insicuro / dubbioso

Numero di osservazioni

Meno osservazioni rispetto alla soglia
Stesso numero o più osservazioni rispetto alla soglia
Simboli
Superfici di valle Superfici di montagna
presenza abbondate o frequente
presenza pocco abbondante o rara
H informazioni d'erbario
L informazioni bibliografiche
Colore dei simboli
Occorrenza proveniente dall'Atlante Welten & Sutter (1982)
Occorrenze da supplementi 1984
Occorrenze da supplementi 1994

Distribuzione in Svizzera (© Flora Helvetica 2018)

CH

Distribuzione globale (© Flora Helvetica 2018)

Eur. centr.

Ecologia

Tipo biologico

Nanofanerofita, Fanerofita

Ambienti

Ambienti © Delarze & al. 2015

grassetto
Specie spesso dominante e con un'influenza sulla fisionomia dell'ambiente
Specie caratteristiche
Specie caratteristiche
Specie meno legata all'ambiente
Specie meno legata all'ambiente

Valori ecologici secondo © Landolt & al. (2010)

Fattori del suolo Fattori climatici Tolleranza alla salinità
Valore d'umidità U 3+w+ Valore di luminosità L 3 Indice di salinità
Valore di reazione R 3 Valore di temperatura T 2+
Valore delle sostanze nutritive N 3 Valori di continentalità C 3
Legenda valori ecologici

Valore d'umidità U

1
molto secco
1+
secco
2
mediamente secco
2+
inumidito
3
mediamente umido
3+
umido
4
molto umido
4+
impregnato
5
sommerso o sotto l'acqua
f
piante sviluppandosi nell'acqua corrente
u
piante generalmente sommerse
v
piante in parte sommerse e in parte galleggianti
w
umidità mediamente variabile (± serie di 1-2)
w+
umidità fortemente variabile (serie superiore di ± 2)

Valore di reazione R

1
molto acido (pH 2.5-5.5)
2
acido (pH 3.5-6.5)
3
leggermente acido a neutro (pH 4.5-7.5)
4
neutro a basico (pH 5.5-8.5)
5
basico (pH 6.5->8.5)

Valore delle sostanze nutritive N

1
molto poveri in nutrimenti
2
povero in nutrimenti
3
mediamente povero a mediamente ricco in nutrimenti
4
ricco in nutrimenti
5
molto ricco in nutrimenti a surcompostato

Tolleranza alla salinità

1
alotollerante
3
alofita

Valore di luminosità L

1
molto ombreggiato
2
ombreggiato
3
luoghi luminosi
4
luminosi
5
molto luminosi

Valore di temperatura T

1
piano alpino a nivale (a partire dal limite della foresta fino al limite delle nevi)
1+
piano suprasubalpino e subalpino superiore (foreste di pino cembro e di larici)
2
piano subalpino (foreste di conifere senza faggio fino al limite superiore dell'abete rosso)
2+
piano subalpino inferiore e montano superiore
3
piano montano (foreste di faggi e d'abeti bianchi, nelle Alpi centrali foreste di pini silvestre)
3+
piano montano inferiore e collinare superiore
4
piano collinare (foreste di latifoglie miste di quercia)
4+
luogo caldo, collinare
5
luogo molto caldo, collinare (solo nei luoghi più caldi, tipico dell'Europa del sud)

Valori di continentalità C

1
atlantico (forte umidità dell'aria, variazioni di temperatura molto deboli, invierni miti)
2
subatlantico (forte umidità dell'aria, deboli variazioni di temperatura, inverni miti)
3
subatlantico a subcontinentale (umidità dell'aria media, temperaura variabile, in inverno temperature leggermente basse)
4
subcontinentale (debole umidità dell'aria, variazioni importanti di temperatura, inverni piuttosto freddi)
5
continentale (leggera umidità dell'aria, considerevoli variazioni di temperatura, inverni freddi)

Nomenclatura

Nome accettato (Checklist 2017)

Salix appendiculata Vill.

Nome comune

Deutscher Name:
Grossblättrige Weide, Gebirgs-Weide
Nom français:
Saule à grandes feuilles
Nome italiano:
Salice stipolato

Corrispondenza con altri libri

Relazione Inserire un nome Libri No
=Salix appendiculata Vill.Checklist 2017363100
=Salix appendiculata Vill.Flora alpina 200452.1.19
=Salix appendiculata Vill.Flora Helvetica 2001599
=Salix appendiculata Vill.Flora Helvetica 2012752
=Salix appendiculata Vill.Flora Helvetica 2018752
=Salix appendiculata Vill.Index synonymique 1996363100
=Salix appendiculata Vill.Landolt 1977814
=Salix appendiculata Vill.Landolt 1991716
=Salix appendiculata Vill.SISF/ISFS 2363100
=Salix appendiculata Vill.Welten & Sutter 1982108
=
Il taxon corrisponde al taxon accettato (Checklist 2017)
<
Il taxon è incluso nel taxon accettato (Checklist 2017)
>
Il taxon include (tra gli altri) anche il taxon accettato (Checklist 2017)

Status

Indigenato

Indigena

Lista delle specie minacciate IUCN (© Walter & Gillett 1997):   No

Stato di conservazione nazionale secondo Lista Rossa

Categoria IUCN: Non minacciato

Non minacciato

Informazioni supplementari

Criteri IUCN:

Stato di conservazione regionale secondo Lista Rossa 2019

Regioni biogeografiche Categoria IUCN Criteri IUCN
Giura (JU) LC
Altipiano (MP) LC
Versante nord delle Alpi (NA) LC
Versante sud delle Alpi (SA) LC
Alpi centrali orientali (EA) LC
Alpi centrali occidentali (WA) LC
Legenda
EX
estinta a livello mondiale (Extinct)
RE
estinta in Svizzera (Regionally Extinct)
CR(PE)
scomparsa, probabilmente estinta in Svizzera (Critically Endangered, Probably Extinct)
CR
in pericolo d'estinzione (Critically Endangered)
EN
fortemente minacciata (Endangered)
VU
vulnerabile (Vulnerable)
NT
potenzialmente minacciata (Near Threatened)
LC
non minacciata (Least Concern)
DD
carente di dati (Data Deficient)
NE
non valutata (Not Evaluated)
NA
non applicabile (Not Applicable)

Stato di conservazione secondo la Lista delle specie prioritarie a livello nazionale (2019)

Nessuna priorità nazionale o responsabilità internazionale

Protezione legale

Internazionale (Convenzione di Berna) No
BLProtezione parziale (fioritura) (01.01.2012)
JUProtezione parziale (fioritura) (06.12.1978)
NEProtezione parziale (01.08.2013)
OWProtezione parziale (fioritura) (01.04.2013)
SOProtezione parziale (fioritura) (23.02.1972)
Svizzera
URProtezione parziale (fioritura) (01.07.2009)
ZHProtezione parziale (03.12.1964)
SGProtezione parziale (fioritura) (01.10.2017)
FRProtezione parziale (01.07.2014)
Disclaimer
InfoFlora si impegna a riportare il più precisamente possibile le informazioni sulle specie protette prese dai testi di legge dei rispettivi cantoni. In alcuni casi, non è stato possibile riportare tale e quale i nomi dei vegetali elencati, ma si é dovuto interpretare la loro tassonomia o la loro nomenclatura. Le categorie “completamente protetto” e “parzialmente protetto” hanno significati diversi nei vari cantoni.

InfoFlora non garantisce che l’informazione sullo stato di protezione delle specie sia corretta ed esaustiva e, in caso di dubbio, consiglia di consultare direttamente il testo di legge del rispettivo cantone.

Crop Wild Relatives

Specie "Crop Wild Relative"