Close

Salix laggeri Wimm.

Species
SIFS: 364900
Checklist: 1040820

Synthesis

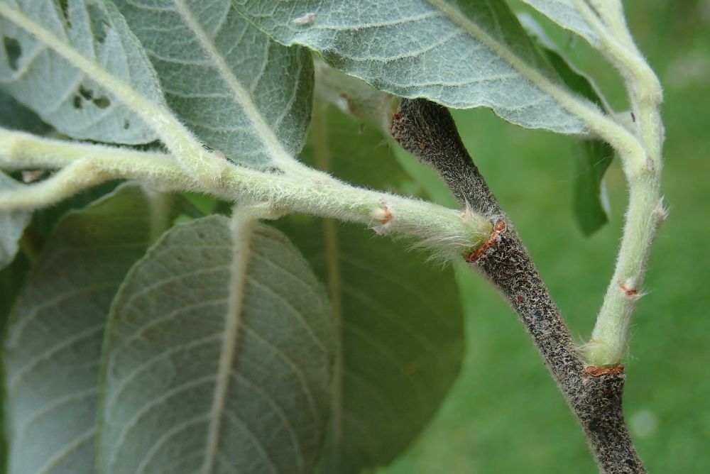
Species description (© Flora Helvetica 2018)

1-2(-3) m hoher Strauch. Auch 1-2jährige Zweige noch kraus behaart, unter der Rinde ohne Längsrippen, Blätter breit-lanzettlich bis oval, 4-15 cm lang, die ersten dicht flaumig, die späteren oberseits verkahlend, dunkelgrün, unterseits grau- bis blaugrün, hell und weich behaart, Rand oft nach unten gebogen. Nebenblätter bis 0,5 cm lang oder fehlend. Blüten erscheinen mit den Blättern. Weibliche Kätzchen bis 25 mm lang und 9 mm dick. Frucht seidig behaart.

Flowering period (© Flora Helvetica 2018)

6

Habitat and distribution inside Switzerland (© Flora Helvetica 2018)

Kalkarme Schotter an Bach- und Seeufern / subalpin / A

World distribution (© Flora Helvetica 2018)

Mittelalpin

Ecological indicator (© Flora Helvetica 2018)

3+w+22-323.n.2n=76

Status

IUCN status

 Vulnerable (VU)

National Priority

 2 - high national priority

International responsibility

 3 - high

Distribution map (Atlas)

Dataset last updated:
Data is updated once a day, whenever possible.

Simple

Before threshold year
From threshold year
Before and after threshold year

Advanced

Colors
Validated observations
Observations waiting for validation
Occurrences from Atlas Welten & Sutter (1982) and supplements (1984, 1994) without confirmation in the Info Flora database since
Symbols
Before threshold year
From threshold year
Native
Reintroduced
Not native / introduced / subspontaneous / escaped
Doubtful

Number of observations

Below the threshold number of observations
Above or equal the threshold number of observations
Symbols
Valley surfaces Mountain surfaces
Abundant or frequent presence
Scarce or rare presence
H Herbarium sample
L Mentioned in the litterature
Colors
Occurrences from Atlas Welten & Sutter (1982)
Occurrences from supplements 1984
Occurrences from supplements 1994

Distribution in Switzerland (© Flora Helvetica 2018)

A

World distribution (© Flora Helvetica 2018)

Mittelalpin

Ecology

Life form

Nanophanerophyte

Habitats

Habitats © Delarze & al. 2015

bold
Dominant species, influencing the appearance of the habitat
Character species
Character species
Less strictly linked to a specific habitat
Less strictly linked to a specific habitat

Ecological indicator values by © Landolt & al. (2010)

Soil factors Climatic factors Salinity tolerance
Humidity Value H 3+w+ Light Value L 3 Salinity Index
Reaction Value R 2 Temperature factor T 2
Nutriments value N 2 Continentality K 3
Ecological values legend

Humidity Value H

1
very dry
1+
dry
2
moderatly dry
2+
moist
3
medium wet
3+
wet
4
very wet
4+
soggy
5
submerged or underwater
f
plants living in running water
u
mostly submerged plants
v
partly submerged, partly floating plants
w
humidity moderately variable (± scale of 1-2)
w+
highly variable humidity (scale exceeding ± 2)

Reaction Value R

1
Very acid (pH 2.5-5.5)
2
acid (pH 3.5-6.5)
3
lightly acid to neutral (pH 4.5-7.5)
4
neutral to basic (pH 5.5-8.5)
5
basic (pH 6-5 -> 8.5

Nutriments value N

1
very low in nutrients
2
low in nutriments
3
medium-poor to medium-rich in nutrients
4
rich in nutriments
5
very rich in nutriments

Salinity tolerance

1
halotolerant
3
halophyle

Light Value L

1
very shady
2
shady
3
lighted areas
4
luminous
5
highly luminous

Temperature factor T

1
alpine to nival stages (from the treeline to the snowline)
1+
suprasubalpine and upper subalpine levels (pine and larch forests)
2
subalpine level (coniferous forests without beeches up to the upper limit of spruces)
2+
lower subalpine and upper mountain stages
3
mountain level (beech and silver fir forests, in the central Alps Scots pine forests)
3+
lower mountain and upper hill levels
4
hill level (mixed deciduous oak forests)
4+
hot places, hill level
5
very hot places, hill level (only in the hottest places, typical of southern Europe)

Continentality K

1
Atlantic (high air humidity, very low temperature variations, mild winters)
2
Sub-Atlantic (high air humidity, low temperature variations, relatively mild winters)
3
sub-Atlantic to subcontinental (average air humidity, moderately variable temperature, slightly low winter temperatures)
4
subcontinental (low air humidity, large temperature variations, rather cold winters)
5
continental (very low air humidity, very large temperature variations, cold winters)

Water dependency

Rivers 2 - Essential habitat
Calm water 2 - Essential habitat
Ground water 0 - No link

Nomenclature

Accepted Name (Checklist 2017)

Salix laggeri Wimm.

Vernacular name

Deutscher Name:
Flaum-Weide, Weissfilzige Weide, Laggers Weide
Nom français:
Saule de Lagger
Nome italiano:
Salice di Lagger

Match with other reference books

Relationship Scientific name Book No
=Salix laggeri Wimm.Checklist 2017364900
=Salix laggeri Wimm.Flora alpina 200452.1.20
=Salix laggeri Wimm.Flora Helvetica 2001595
=Salix laggeri Wimm.Flora Helvetica 2012753
=Salix laggeri Wimm.Flora Helvetica 2018753
=Salix laggeri Wimm.Index synonymique 1996364900
=Salix laggeri Wimm.SISF/ISFS 2364900
=Salix laggeri Wimm.Welten & Sutter 1982109
=
The taxon corresponds to the accepted taxon (Checklist 2017)
<
The taxon is included in the accepted taxon (Checklist 2017)
>
The taxon includes (among others) also the accepted taxon (Checklist 2017)

Status

Native status

-

IUCN list of endangered species (© Walter & Gillett 1997):   No

Status on national Red List

IUCN status: Vulnerable

Vulnerable

Additional information

IUCN criteria: C2a(i)

Status on regional Red List 2019

Biogeographic regions IUCN status IUCN criteria
Jura (JU)
Mittelland (MP)
Alpennordflanke (NA) VUC2a(i)
Alpensüdflanke (SA) VUC2a(i)
Östliche Zentralalpen (EA) VUC2a(i)
Westliche Zentralalpen (WA) VUC2a(i)
Legend
EX
Extinct
RE
Regionally Extinct
CR(PE)
Critically Endangered, Probably Extinct
CR
Critically Endangered
EN
Endangered
VU
Vulnerable
NT
Near Threatened
LC
Least Concern
DD
Data Deficient
NE
Not Evaluated
NA
Not Applicable

National Priority Species List Status

Action level LF (+GL) - Spezifische Lebensraumförderung
Notice on action level
Population monitoring 2 - genügend
International responsibility of Switzerland 3 - Hohe Verantwortung
Urgency 3 - wünschbar und sinnvoll
Protection of individual occurrences

Protection status

International (Bern Convention) No
URtotal protection ( flowering) (01.07.2009)
VDtotal protection (02.03.2005)
Switzerland
TItotal protection (23.01.2013)
Disclaimer
InfoFlora compiles information on protected species as accurately as possible, taking it from the respective cantonal laws. In some cases, however, it was not possible to use the plant names as listed in the original text, but an interpretation of their taxonomy or nomenclature was necessary. The exact meaning of the categories „completely protected“ and „partially protected“ differs among the cantons.

InfoFlora cannot guarantee that the information on the protection status is correct and complete. In case of doubts, we recommend to look up the texts of the respective cantonal law.

Crop Wild Relatives

CWR specie

Conservation

Threats and measures