Schließen

Salix bicolor Willd.

Zweifarbige Weide

Art
SISF: 363400
Checklist: 1040630

Zusammenfassung

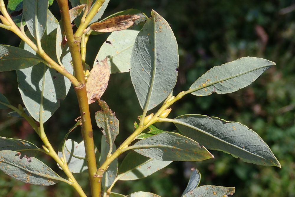
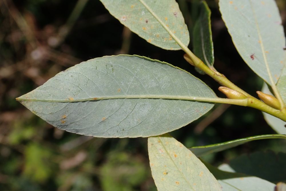
Artbeschreibung (© Flora Helvetica 2018)

Bis 3 m hoch. Junge Triebe kahl, glänzend, Holz unter der Rinde mit bis 4 mm langen Rippen. Blätter oval, kahl, 3-8 cm lang, 1,5-2,5mal so lang wie breit, oberseits dunkelgrün glänzend, unterseits matt blaugrün, ganzrandig bis unregelmässig gezähnt. Blüten erscheinen mit den Blättern. Früchte bis 5 mm lang, zuerst kurz und dicht behaart, dann kahl.

Blütezeit (© Flora Helvetica 2018)

5-7

Standort und Verbreitung in der Schweiz (© Flora Helvetica 2018)

Bach- und Flussufer, Alluvionen / montan-subalpin / A, ungenügend bekannt

Verbreitung global (© Flora Helvetica 2018)

Mittelalpin

Ökologische Zeigerwerte (© Flora Helvetica 2018)

4fw+22-42+2.n.2n=76,114

Status

Status IUCN

 Vom Aussterben bedroht (CR)

Nationale Priorität

 2 - Hohe nationale Priorität

Internationale Verantwortung

 1 - Gering

Erhalten/Fördern

Gefährdungen


Hochwasser- und Lawinenschutzmassnahmen
Verlust des Lebensraums (u.a. durch Sukzession)
Zerstörung des Lebensraums (Elektrizitätswirtschaft, Baumassnahmen)
Konkurrenz (Verdrängung durch Grünerlen)

Verbreitungskarte (Atlas)

Letzte Datenaktualisierung:
Die Daten werden soweit möglich einmal pro Tag aktualisiert.

Einfach

Vor gewähltem Stichjahr
Ab dem Stichjahr
Vor und nach dem Stichjahr

Erweitert

Farbe der Symbole
Validierte Fundmeldungen
Noch nicht validierte Fundmeldungen
Meldungen aus dem Atlas Welten & Sutter (1982) und den Nachträgen (1984, 1994), seither nicht bestätigt
Form der Symbole
Vor gewähltem Stichjahr
Ab dem Stichjahr
Indigen (einheimisch)
Wiederangesiedelt
Eingeführt / verwildert / subspontan
Unsicher / Fraglich

Anzahl Fundmeldungen

Weniger als der gewählte Schwellenwert
Soviel oder mehr als der gewählte Schwellenwert
Form der Symbole
Talflächen Bergflächen
reichliches oder häufiges Vorkommen
spärliches oder seltenes Vorkommen
H Angaben aus Herbarien
L Angaben aus der Literatur
Farbe der Symbole
Meldungen aus dem Atlas Welten & Sutter (1982)
Vorkommen aus den Nachträgen 1984
Vorkommen aus den Nachträgen 1994

Verbreitung in der Schweiz (© Flora Helvetica 2018)

A, ungenügend bekannt

Verbreitung global (© Flora Helvetica 2018)

Mittelalpin

Ökologie

Lebensform

Nanophanerophyt

Lebensraum

Lebensraum © Delarze & al. 2015

fett
Dominante Art, welche das Aussehen des Lebensraumes mitprägt
Charakterart
Charakterart
Weniger strikt an den Lebensraum gebundene Art
Weniger strikt an den Lebensraum gebundene Art

Ökologische Zeigerwerte nach © Landolt & al. (2010)

Bodenfaktoren Klimafaktoren Salztoleranz
Feuchtezahl F 4fw+ Lichtzahl L 4 Salzzeichen
Reaktionszahl R 2 Temperaturzahl T 2+
Nährstoffzahl N 2 Kontinentalitätszahl K 2
Legende zu den Zeigerwerten

Feuchtezahl F

1
sehr trocken
1+
trocken
2
mässig trocken
2+
frisch
3
mässig feucht
3+
feucht
4
sehr feucht
4+
nass
5
überschwemmt, bzw. unter Wasser
f
im Bereich von fliessendem Bodenwasser
u
in der Regel im Wasser untergetaucht
v
mit untergetauchten und schwimmenden Organen
w
Feuchtigkeit mässig wechselnd (± 1-2 Stufen)
w+
Feuchtigkeit stark wechselnd (mehr als ± 2 Stufen)

Reaktionszahl R

1
stark sauer (pH 2.5-5.5)
2
sauer (pH 3.5-6.5)
3
schwach sauer bis neutral (pH 4.5-7.5)
4
neutral bis basisch (pH 5.5-8.5)
5
basisch (pH 6.5->8.5)

Nährstoffzahl N

1
sehr nährstoffarm
2
nährstoffarm
3
mässig nährstoffarm bis mässig nährstoffreich
4
nährstoffreich
5
sehr nährstoffreich bis überdüngt

Salztoleranz

1
salztolerant
3
salzabhängig

Lichtzahl L

1
sehr schattig
2
schattig
3
halbschattig
4
hell
5
sehr hell

Temperaturzahl T

1
alpin und nival (von der Baumgrenze bis zur Schneegrenze)
1+
unter-alpin, supra-subalpin und ober-subalpin (Arven-Lärchenwälder)
2
subalpin (Fichtenwälder ohne Buchen bis zur Obergrenze der Fichte)
2+
unter-subalpin und ober-montan
3
montan (Wälder mit Buche, Weisstanne, in den Zentralalpen mit Waldföhre)
3+
unter-montan und ober-kollin
4
kollin (Laubmischwälder mit Eichen)
4+
warm-kollin
5
sehr warm-kollin (nur an wärmsten Stellen, Hauptverbreitung in Südeuropa)

Kontinentalitätszahl K

1
ozeanisch (sehr hohe Luftfeuchtigkeit, sehr geringe Temperaturschwankungen, milde Winter)
2
subozeanisch (hohe Luftfeuchtigkeit, geringe Temperaturschwankungen, eher milde Winter)
3
subozeanisch bis subkontinental (mittlere Luftfeuchtigkeit, mässige Temperaturschwankungen und mässig tiefe Wintertemperaturen)
4
subkontinental (niedrige relative Luftfeuchtigkeit, grosse Temperaturschwankungen, eher kalte Winter)
5
kontinental (sehr niedrige Luftfeuchtigkeit, sehr grosse Temperaturschwankungen, kalte Winter)

Abhängigkeit vom Wasser

Flüsse 2 - Schwerpunktlebensraum
Ruhiges Wasser 0 - unbedeutend, keine Bindung.
Grundwasser 0 - unbedeutend, keine Bindung.

Nomenklatur

Gültiger Name (Checklist 2017)

Salix bicolor Willd.

Volksname

Deutscher Name:
Zweifarbige Weide
Nom français:
Saule à deux couleurs
Nome italiano:
Salice bicolore

Übereinstimmung mit anderen Referenzwerken

Beziehung Name eingeben Referenzwerke Nr.
=Salix bicolor Willd.Checklist 2017363400
=Salix bicolor Willd.Flora alpina 200452.1.13
=Salix bicolor Willd.Flora Helvetica 2001590
=Salix bicolor Willd.Flora Helvetica 2012747
=Salix bicolor Willd.Flora Helvetica 2018747
=Salix bicolor Willd.Index synonymique 1996363400
=Salix bicolor Willd.Landolt 1977811
=Salix bicolor Willd.SISF/ISFS 2363400
=
Taxon stimmt mit akzeptiertem Taxon überein (Checklist 2017)
<
Taxon ist im akzeptierten Taxon (Checklist 2017) enthalten
>
Taxon enthält (neben anderen) auch das akzeptierte Taxon (Checklist 2017)

Status

Indigenat

Indigen

Liste der gefährdeten Pflanzen IUCN (© Walter & Gillett 1997):   Nein

Status Rote Liste national

Status IUCN: Vom Aussterben bedroht

Vom Aussterben bedroht

Zusätzliche Informationen

Kriterien IUCN: D

Status Rote Liste regional 2019

Biogeografische Regionen Status IUCN Kriterien IUCN
Jura (JU)
Mittelland (MP)
Alpennordflanke (NA) CRD
Alpensüdflanke (SA)
Östliche Zentralalpen (EA) DD
Westliche Zentralalpen (WA)
Legende
EX
weltweit ausgestorben (Extinct)
RE
regional beziehungsweise in der Schweiz ausgestorben (Regionally Extinct)
CR(PE)
verschollen, vermutlich in der Schweiz ausgestorben (Critically Endangered, Probably Extinct)
CR
vom Aussterben bedroht (Critically Endangered)
EN
stark gefährdet (Endangered)
VU
verletzlich (Vulnerable)
NT
potenziell gefährdet (Near Threatened)
LC
nicht gefährdet (Least Concern)
DD
ungenügende Datengrundlage (Data Deficient)
NE
nicht beurteilt (Not Evaluated)
NA
nicht anwendbar (Not Applicable)

Status nationale Priorität/Verantwortung

Handlungsebene LF (+GL) - Spezifische Lebensraumförderung
Hinweise zur Handlungsebene
Bestandsüberwachung 2 - genügend
Internationale Verantwortung der Schweiz 4 - Verantwortung
Dringlichkeit 3 - wünschbar und sinnvoll
Sicherung Einzelvorkommen

Schutzstatus

International (Berner Konvention) Nein
URTeilweise geschützt (Blütezeit) (01.07.2009)
FRTeilweise geschützt (01.07.2014)
Schweiz
VDVollständig geschützt (29.05.2025)
Disclaimer
InfoFlora übernimmt die Angaben über geschützte Arten mit grösstmöglicher Sorgfalt aus den jeweiligen kantonalen Gesetzestexten. Vielfach konnten aber die in Gesetzestexten aufgeführten Pflanzennamen nicht ohne taxonomische oder nomenklatorische Interpretation übernommen werden. Die genaue Bedeutung der Kategorien „vollständig geschützt“ und „teilweise geschützt“ ist je nach Kanton unterschiedlich.

InfoFlora kann die Korrektheit und Vollständigkeit der Angaben zum Schutzstatus nicht garantieren. Im Zweifelsfall verweisen wir auf die Gesetzestexte in den jeweiligen Kantonen.

Crop Wild Relatives

Crop Wild Relative-Art

Erhalten/Fördern

Gefährdungen und Massnahmen

Hochwasser- und Lawinenschutzmassnahmen


Vorgängig Detailkartierung
Schutzkonzept ausarbeiten

Verlust des Lebensraums (u.a. durch Sukzession)


Hydrologische Renaturierung von Alluvialflächen
Dynamisierung von Gletschervorfeldern und Alluvionen

Zerstörung des Lebensraums (Elektrizitätswirtschaft, Baumassnahmen)


Schutz aller Fundstellen (Mikroreservate)
Regelmäßige Bestandskontrollen
Keine Fundbereiche durch Stauseeprojekte oder ähnliches gefährden
Keine Beeinträchtigung von Fundstellen, Schutzgebiet, Mikroreservate ausscheiden
Schaffen von neuen Populationen durch Stecklinge in Bächen, kleinen Mooren etc.

Konkurrenz (Verdrängung durch Grünerlen)


Grünerlen selektiv zurückschneiden, Salix spp. freistellen

In-situ Massnahmen